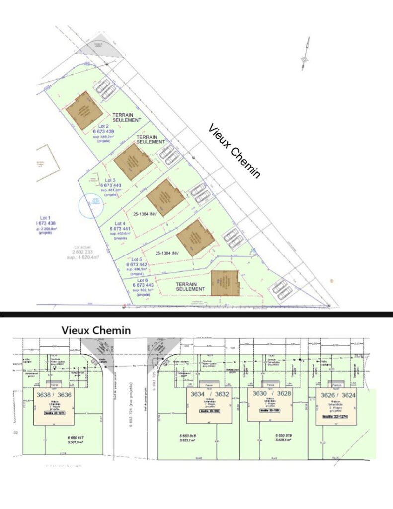
Breakeyville
Vieux Chemin
Nombre d'unités
10
Représentant :
Gabriel Roberge / Courtier Agréé
418-520-2220
Pour plus d'informations :
[email protected]
Modèle(s) disponible(s)
Modèle 20-1051 (20X30)
Modèle 20-948 (20X32)
Modèle 25-1384-Inv (26.6x26.28)
Modèle 23-1274 (18x34)
