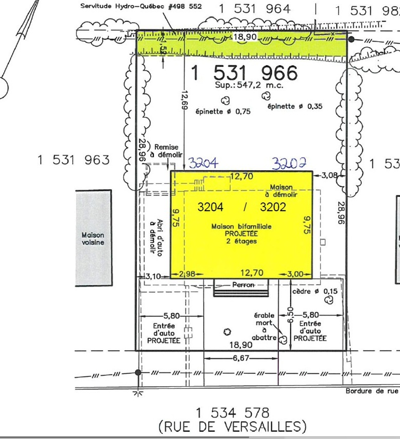
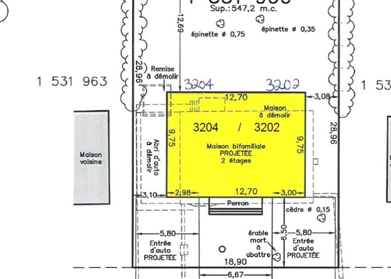
Ste-Foy / Sillery / Cap Rouge
Versailles De
Nombre d'unités
2
Représentant :
Gabriel Roberge / Courtier Agréé
418-520-2220
Pour plus d'informations :
[email protected]
Modèle(s) disponible(s)
Modèle 25-1355 (20.10x32)
