Ste-Foy / Sillery / Cap Rouge
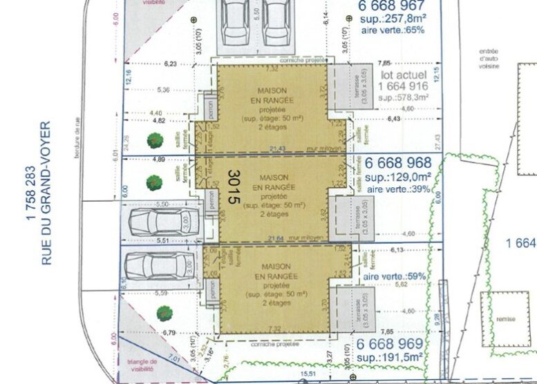
Grand Voyer
Nombre d'unités
3
Représentant :
Gabriel Roberge / Courtier Agréé
418-520-2220
Pour plus d'informations :
[email protected]
